Loading

配合農曆新年煙花匯演 海事局提前做好航行管制安排

海事及水務局
2025-01-27 12:18
  • (資料圖片)海事局增派公務船維持海上交通秩序

  • 登上參與煙花匯演的船隻進行安全檢驗

  • 確保船上的各項安全設備符合要求

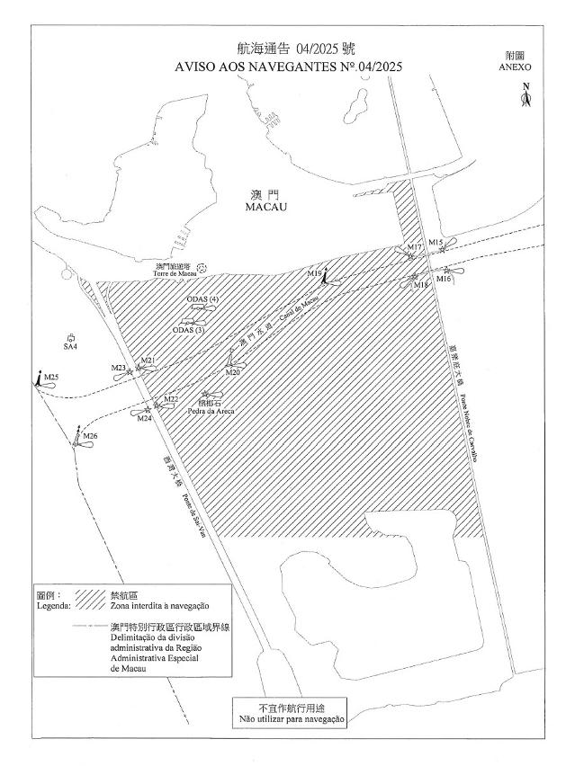
  • 煙花表演期間澳門水道設臨時禁航區

未能播放Youtube視頻

因應農曆新年三場的煙花匯演,海事及水務局已發出航海通告,宣佈澳門旅遊塔對開海面的封航日期和時間,並聯同澳門海關及珠海海事部門提前做好封航和解封安排,保障船隻的航行安全。同時於活動開展前,海事局人員登上參與煙花匯演的船隻進行安全檢驗,確保船上的各項安全設備符合要求,包括消防和救生設備、逃生及疏散安排等。

加強封航監控部署 海上航行安全

煙花匯演期間,嘉樂庇大橋與西灣大橋之間海面將設臨時禁航區,海事局已發佈航海通告,通知海事業界、附近的工程船隻注意有關情況。屆時,海事局與海關會增派船隻及人員加強監控海上交通秩序和疏導船隻,保障封航期間及航道解封初期的航行安全,並加大力度打擊違規航行船隻。封航時段如下:

日期

封航時間

2025年1月31日

21:15至23:15

2025年2月4日

20:30至22:30

2025年2月12日

20:30至22:30

封航時間有可能因實際工作情況而延長,請有需要在解封航道後出入港的船隻留意澳門船舶交通管理中心的廣播,並聽從現場公務船隻的指示,有序等候和通航。

遵守規則與指揮 安心出海賞煙花

海事局呼籲往來澳門海域的船隻,必須嚴格遵守航行安全規則及聽從現場執法人員的指揮,在安全情況下航行。同時,海上遊船隻及遊艇在出海觀賞煙花表演時,須做好安全措施。海事局已把有關安排通知珠海海事部門,並會共同加強航行管理工作,以進一步保障海上航行安全。


訂閱新聞局Telegram政府新聞頻道:https://t.me/macaogcs,即時接收最新消息。
訂閱頻道
澳門特別行政區政府新聞局 Facebook
澳門特別行政區政府新聞局 Facebook
澳門特別行政區政府新聞局 官方微信
澳門特別行政區政府新聞局 官方微信
微信訂閱號:澳門政府資訊 澳門政府資訊
微信訂閱號:澳門特區發佈 澳門特區發佈
澳門特別行政區政府新聞局 政府新聞頻道
澳門特別行政區政府新聞局 政府新聞頻道
已複製連結
跳到頁面頂部